Характеристика и описание сорта томата Астраханский
Помидоры, выращенные на Нижней Волге, одни из самых вкусных. Дело в том, что климат с жарким солнцем, слегка солоноватые почвы с высоким содержанием калия и натрия, создают условия для накопления большого количества сахаров в плодах. Томат Астраханский не является исключением, он любимец огородников юга.
Описание сорта томата Астраханский, относит его к группе среднеспелых помидоров открытого грунта, от всходов до созревания плодов проходит 115-122 дня. По типу куста этот сорт индетерминантный, но его высота не превышает 80 см, растение формирует штамб. Первое соцветие закладывается над 7-8 листом. Характеристика плодов:
- Форма – округлая;
- Средняя масса – 105 г, все плоды имеют примерно одинаковую массу;
- Плотность – высокая;
- Цвет: ярко-красный, кожица средней плотности, не растрескивается.
https://youtube.com/watch?v=5jmswa35mdI
Назначение плодов – цельноплодная консервация, потребление в свежем виде, приготовление томатной пасты и сока. Семенные камеры небольшие, их 5-6, семена средних размеров, при поедании не ощущаются. Сорт характеризуется дружной отдачей плодов, поэтому его выращивают в производственных условиях.
Достоинства сорта
Среди достоинств Астраханского, главное – это его высокая урожайность. В производственных условиях этот сорт давал 70 т/га и выше. В открытом грунте в Волгоградской и Астраханской областях, как свидетельствуют отзывы огородников, можно получить ведро плодов с 1 м 2 .
К достоинствам сорта относят то, что у него отсутствует зеленое пятно вокруг плодоножки. Сорт очень устойчив к грибным и вирусным болезням, вершинная гниль его не поражает. Это один из тех сортов, про которые говорят «крепкий».
Полезные свойства
Астраханские помидоры очень богаты ликопином. Это вещество необходимо для здоровья всех, но особенно – мужчин. Содержание ликопина выше в томатах, прошедших тепловую обработку. Органическое вещество холин, находящееся в большом количестве в томатах, способствует снижению уровня холестерина в крови, защищает печень от жировой дистрофии, повышает общий иммунитет и стимулирует образование гемоглобина крови.
Рекомендации по выращиванию
Астраханские томаты походят для выращивания через рассадную или безрассадную культуру. В первом случае, высевать на рассаду его нужно в начале марта. В безрассадной культуре, например, в Астрахани, посевы делают в апреле под пленку сразу в открытый грунт.
Важно, что в безрассадной культуре расход семян намного выше, чем при посеве на рассаду. Сеять в грядку нужно строчкой, чтобы всходы дружно поднимали почвенную корку, а затем их прореживают на необходимое расстояние в 35-45 см
Безрассадный томат очень сильный, он требует меньше поливов, поскольку имеет глубокую корневую систему, на нем формируется больше плодов
Попробуйте вырастить такие помидоры!
Безрассадный томат очень сильный, он требует меньше поливов, поскольку имеет глубокую корневую систему, на нем формируется больше плодов. Попробуйте вырастить такие помидоры!
В начальный период роста томаты нужно подкармливать азотсодержащими удобрениями. Замечательные результаты дают внекорневые подкормки мочевиной. Перед цветением томату следует дать подкормку полным минеральным удобрением – с азотом, фосфором и калием. В период роста плодов, эффективны подкормки коровяком – плоды будут крупные и сладкие. Свежий коровяк нужно залить водой: на ведро воды 2 кг коровяка, оставить эту смесь в закрытой емкости на 7 дней для брожения. Затем разводить в 5-6 раз и поливать растения под корень.
На даче Астраханским помидорам обязательно нужна опора, поскольку растения достаточно высокие. Если культура безрассадная и расстояние между растениями небольшое, то целесообразно обустроить невысокие шпалеры, высотой до 1 м и натянуть проволоки в 1-2 ряда для поддержки всех растений в рядке.
Это интересно
В производственных условиях в Астраханской области была разработана специальная технология, которая имела одноименное с областью название. По этой технологии посадку томатов вели с очень широкими междурядьями 1,4 м и очень малым расстоянием между кустами – 15-17 см. При такой схеме ряд очень плотный, кусты мало разваливаются, есть возможность машинной уборки и полной механизации всех работ.
Характеристика томата
Рассматриваемый сорт практически не имеет каких-либо минусов. Единственным недостатком является слабый и хлипкий стебель, который часто переламывается под тяжестью собственных плодов. Чтобы этого избежать, насаждения приходится подвязывать по несколько раз за вегетационный период.
Урожайность и плодоношение
Продуктивность сорта томатов Палка может достигать до 1-1,5 кг с отдельного куста или до 30 кг с 1 м2. Данный показатель обычно не изменяется в зависимости от того, возделывается ли рассматриваемый сорт в тепличных условиях, или произрастает в открытом грунте. Добиться такой продуктивности можно, лишь при соблюдении всех рекомендаций по агротехнике возделывания.
Область применения плодов
Помидоры Палка являются оптимальным вариантом для консервирования, однако томаты могут быть употреблены в пищу и в свежем виде. Их часто используют для приготовления различных салатов и других блюд.
Устойчивость к заболеваниям и вредителям
Сорт томатов Палка выделяется устойчивостью к основным болезням, встречающимся на пасленовых культурах. К ним относятся как грибковые, так и вирусные недуги.
Помидоры могут поражаться вредными насекомыми. Для защиты от них проводят профилактические меры, при обнаружении вредителей насаждения опрыскивают инсектицидами, или борются при помощи народных средств.
Достоинства и недостатки
Широкая распространенность сорта томатов Палка в нашей стране обусловлена наличием следующих положительных свойств и качеств:
- относительно быстрый срок созревания помидоров;
- отсутствие боковых листьев и побегов, что существенно облегчает уход за растениями;
- высокая и стабильная урожайность вне зависимости от того, в каких условиях возделывается сорт;
- резистентность к основным грибковым и инфекционным заболеваниям пасленовых культур;
- примечательный и нетипичный для помидоров экзотический вид;
- возделывание сорта, как в открытом грунте, так и в теплице;
- универсальность использования урожая;
- транспортировка томатов на дальние расстояния и продолжительная лежкость;
- возможность сбора и посева своих же семян, обусловленная негибридным происхождением сорта Палка.
Высокая урожайность томатов Палка подтверждается отзывами и фото.
Характерные особенности
Помидоры (сорт Палка) были выведены агробиологами США в 1958 г. Описание растений необычного сорта томатов связано с запоминающимся видом куста. Томаты Палка колоновидная отличаются практическим отсутствием листвы.
Внешнее описание сорта (фото представлено ниже) подтверждает экзотический вид растения. Листья имеют гофрированную структуру, небольшого размера, близко расположены к стволу растения.

Это позволяет высаживать помидоры на расстоянии 20 см друг от друга. Куст полудетерминантного типа, высотой 100-120 см, состоит из нескольких вертикальных стеблей, не требует формирования, удаления побегов.
Слабые стебли нуждаются в дополнительной опоре. В простой кисти формируется и созревает 5-6 плодов правильной, округлой формы. Мякоть мясистая, плотная, вкус традиционный томатный с кислой ноткой. В стадии технической спелости плоды приобретают яркий красный цвет.

У томатов плотная кожица, не склонна к растрескиванию при созревании. Масса плодов составляет 50-100 г. Урожайность 1 куста составляет 1-1,5 кг. При нормированной густоте посадки с 1 м² можно снять 30 кг томатов. Плоды используются в свежем виде, для консервирования.
Томат можно выращивать в открытом грунте и теплице. Помидоры сорта Палка созревают через 3,5-4 месяца от момента закладки семян. Помидор устойчив ко многим болезням пасленовых культур.
Сорт не относится к гибридам, поэтому предоставляется возможность сбора семян для посева в следующем сезоне. Для получения семян выбирают спелые томаты, созревающие на второй кисти. Лучшие семена получаются с плодов, на которых снизу имеется небольшое углубление.

Существует сорт с созвучным названием, отличающийся внешним видом куста и плодов. Старинный семейный томат Опалка мигрировал в начале прошлого века из Польши в США (Нью-Йорк).
Для растения характерен узкий тип листвы, средний срок созревания. Помидоры длиной до 12 см, по форме напоминают перец. Масса томатов достигает 200 г. В мякоти находится мало семян. Плоды используются для приготовления сока, пасты, пюре.
Правила выращивания
Сорт помидоров Палка может быть выращен рассадным способом при помощи тех семян, что были собраны на участке. Они сохраняют свою всхожесть и другие посевные качества на протяжении 5 лет, после чего обычно приходят в негодность.
Посадка на рассаду
Чтобы подготовить семена, выбирают наиболее спелые и крупные помидоры сорта Палка, характеризующиеся типичной для него формой. Обычно используют томаты, которые растут со второй кисточки.
В емкости с чистой водой разбавляют небольшое количество перманганата калия для того, чтобы жидкость обрела розовую окраску. Она используется для промывания собранных плодов с целью обеззараживания и удаления болезнетворных возбудителей. Далее томаты перемещают в утепленное помещение без освещения и оставляют их на 5 дней. По прошествии указанного промежутка времени плоды станут более мягкими, после этого их разрезают надвое при помощи предварительно продезинфицированного ножа
Содержимое помидоров вместе с семенами и мякотью осторожно выдавливают в чистую глубокую посудину. Сверху ее накрывают хлопчатобумажной тканью и помещают в темной комнате

Спустя два дня содержимое емкости начнет брожение. Когда на поверхности мякоти образуется белесая тонкая пленка и начнут появляться пузырьки, это будет сигналом о готовности семенного материала к промыванию. Сами же семена в это время опустятся на дно посудины
В стакан заливают чистую теплую воду и осторожно промывают семена. Процедуру повторяют до тех пор, пока вода не станет полностью прозрачной
Чтобы избавить семена от излишков влаги, их равномерно раскладывают тонким слоем по поверхности хлопчатобумажной ткани. После этого их перекладывают на лист белой бумаги в один слой для просушивания. Вскоре семена томата Палка станут сыпучими, их пересыпают в бумажные пакетики для хранения.
Семечки следует высадить на рассаду за 60 дней до пересадки на постоянное место, в противном случае они не успеют полностью вызреть. Обычно это делают в первой половине марта. Рекомендуется приобрести в садовом магазине специальный готовый грунт и засыпать его в контейнер или ящик. И почву, и емкость перед посевом обеззараживают при помощи густого раствора перманганата калия. Эту же жидкость, а также 1%-ный раствор борной кислоты, используют для дезинфекции семян.
На поверхности грунта делают несколько неглубоких бороздок на расстоянии 3 см друг от друга. В них через каждые 1-1,5 см закладывают семена, заглубив их на 1 см. Накрывают прозрачной пленкой и ставят в теплое помещение (с температурой около +22…25С) на несколько дней, в течение которых должны образоваться первые всходы.
При появлении всходов пленку снимают. Когда на сеянцах образуется по 2 пучка листьев проводят пикировку по разным емкостям. Перемещают на подоконник, регулярно переставляя разными сторонами к солнцу.
Пересадка томата
Сеянцы пересаживают на постоянное место в конце мая, когда минует риск возвратных весенних заморозков. Почва должна быть разрыхлена и насыщена питательными элементами. При отсутствии минеральных удобрений допускается использовать перегной, компост или древесную золу.
Колоновидные томаты Палка могут быть выращены на более близком расстоянии друг от друга, чем остальные сорта томатов. Если планируется возделывание помидоров в один стебель, между кустами оставляют расстояние в 15 см, а если в два, то в 20-30 см. На 1 м2 может быть высажено до 30 кустов. Такое близкое расстояние обусловлено тем, что кусты с редкой листвой лучше проветриваются и освещаются. Пересадку колоновидных помидоров Палка проводят по вечерам, что позволяет кустам лучше и быстрее прижиться.
Последующий уход за томатами
Каждые два дня растения необходимо орошать. Процедуру проводят по вечерам и льют воду под корень, чтобы не попасть на листву. Одновременно с орошениями рекомендуется рыхлить грунт в прикустовом секторе, чтобы улучшить доступ влаги и воздуха к корневой системе. При этом удаляют сорные растения.
В течение вегетационного периода помидоры сорта Палка дважды подкармливают. Перед началом плодоношения готовят водный раствор из следующих ингредиентов:
- 25 г суперфосфата;
- 10 г аммиачной селитры;
- 15 г хлористого калия;
- 10 л воды.
Когда начнется плодоношение, для подкормки помидоров в 10 л воды растворяют следующие компоненты:
- по 20 г хлористого калия и суперфосфата;
- 15 г аммиачной селитры.
Растение не пасынкуют, однако ему требуются подвязки к опоре. Без них стебель рискует сломаться. Чтобы удержать влагу в прикустовом секторе и снизить численность сорняков, рекомендуется присыпать грунт возле кустов сорта Палка мульчей, в качестве которой используют листовой опад, торф или перегной.

Описание томата Палка
Сорт помидор Палка выведен в Соединенных Штатах в 1958 году. В других каталогах он встречается под названиями:
- Curl tomato;
- Кудряволистный помидор;
- Stick tomato;
- Махровый помидор.
Сорт томатов Палка относится к категории полудетерминантных и среднеспелых. От момента появления всходов до начала созревания помидоров проходит около 110-120 суток. Растения могут возделываться, как в тепличных условиях, так и в открытом грунте.
Кусты томатов колонновидные, с мелкой, сильно гофрированной листвой. Листьев относительно немного, они скомпонованы в пучки. На одном растении формируется несколько утолщенных вертикальных побегов. В теплице они вырастают в высоту до 160 см, на открытых участках стебли существенно ниже. Растению в процессе выращивания потребуется фиксация к опоре. Соцветия у томатов кистевидные, простые, укороченные, объединяющие до 5-6 плодов. Согласно описанию сорта томата Палка, при подходящих погодно-климатических условиях на каждом побеге формируется по 4-5 кистей.

Описание плодов
Помидоры сорта Палка уплотненные, правильной округлой формы, мясистые, на ощупь упругие. В процессе созревания плоды окрашены в светло-зеленоватый цвет, по достижении стадии зрелости обретают ярко-красную окраску. Масса варьируется от 50 до 100 грамм. Вкус хороший, типичный для томатов, присутствует небольшая кислинка. Помидоры покрыты плотной кожицей, которая не склонна к растрескиванию, даже если плоды переспеют.
Описание томата Палка
Кусты томатов колонновидные, с мелкой, сильно гофрированной листвой. Листьев относительно немного, они скомпонованы в пучки. На одном растении формируется несколько утолщенных вертикальных побегов. В теплице они вырастают в высоту до 160 см, на открытых участках стебли существенно ниже. Растению в процессе выращивания потребуется фиксация к опоре. Соцветия у томатов кистевидные, простые, укороченные, объединяющие до 5-6 плодов. Согласно описанию сорта томата Палка, при подходящих погодно-климатических условиях на каждом побеге формируется по 4-5 кистей.

Плоды
Помидоры сорта Палка уплотненные, правильной округлой формы, мясистые, на ощупь упругие. В процессе созревания плоды окрашены в светло-зеленоватый цвет, по достижении стадии зрелости обретают ярко-красную окраску. Масса варьируется от 50 до 100 грамм. Вкус хороший, типичный для томатов, присутствует небольшая кислинка. Помидоры покрыты плотной кожицей, которая не склонна к растрескиванию, даже если плоды переспеют.
Область применения
Помидоры Палка являются оптимальным вариантом для консервирования, однако томаты могут быть употреблены в пищу и в свежем виде. Их часто используют для приготовления различных салатов и других блюд.
Описание
Сорт заслуженно является одним из самых необычных томатов, которые когда-либо были выведены человеком. Именно поэтому вот уже не одно десятилетие этот овощ является довольно популярным у всех ценителей интересный плодовых растений. 
Кусты
Основной отличительной чертой сорта является строение куста растений, который состоит из нескольких толстых вертикальных стеблей колоновидного строения, высотой до 1,6 метра. Зачастую в одном кусте их количество не превышает 3 штук.
Это означает, что на кусте практически полностью отсутствуют привычные для понимания простого дачника боковые побеги. При этом листья довольно редко расположены на стеблях, небольшие по размеру и имеют гофрированную структуру.
Также стоит обратить внимание и на кисть растения: она имеет простое строение, короткая и состоит, в основном, из не более 5-6 плодов. Оптимальные характеристики растения достигаются исключительно в искусственных условиях, в естественных, окружающая среда может значительно ограничить развитие и урожайность культуры
Плоды
Плоды у помидора «Палка Колоновидная» имеют правильную округлую форму, упругие. Мякоть плотная и мясистая, с отчетливым томатным привкусом и характерной для сорта кислинкой. В стадии зрелости плоды имеют яркий красный оттенок.
Их вес у среднестатистического растения может варьироваться от 50 до 100 г. Кожица плотная, что дает возможность плоду не трескаться, даже когда плод сильно переспеет. Сорт идеально подходит для того, чтобы использовать его в пищу в сыром, консервированном либо свежеприготовленном виде.
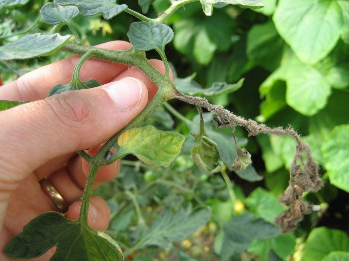
Болезни и вредители
![]() | Серая гниль Меры борьбы:
|
![]() | Черная ножка Меры борьбы:
|
![]() | Вершинная гниль Мер борьбы:
|
![]() | Слизни Меры борьбы:
|
Характерные особенности
Описание сорта, характеристика томата Палка – вот то, что необходимо огородникам для осознанного выбора.
Преимущества
Сначала представим на суд достоинства сорта:
- Сорт среднеспелый, техническая зрелость наступает через 3,5-4 месяца с момента посева семян.
- Необычный экзотический вид. Вы только посмотрите на фото ниже.
- Отсутствие боковых побегов и листьев создает особые удобства при уходе.
- Возможность выращивания на обычных грядах или в теплице.
- Стабильная урожайность независимо от места выращивания. За счет густоты высаживания с квадратного метра собирают до 30 кг плодов. Это качество помидор сорта Палка подтверждается характеристикой, отзывами и фото.
- Помидоры универсального назначения с отличной лежкостью и транспортабельностью.
- Стойкость ко многим болезням, от которых страдают другие пасленовые родственники.
- Возможность сбора своих семян, так как томат негибридное растение.
Минусы сорта
В отличие от других сортов и гибридов, томат Палка практически не имеет отрицательных качеств как по описанию, так и отзывам огородников, выращивающих культуру не один год. У сорта есть только одна отрицательная черта – хлипкий стебель. Без многократного подвязывания растение просто сломается.

Внимание! Помидоры содержат серотонин, который называют гормоном счастья, поэтому этот овощ должен быть на столе каждого россиянина
Выращивание помидоров
Посев семян на рассаду происходит в начале весны.
- Семена проходят дезинфекцию раствором с марганцовкой или перекисью водорода во избежание заболеваний будущих томатов.
- Для повышения всхожести применяют стимулятор роста.
- Для питательного субстрата смешивают дерновую или садовую землю с перегноем. Для облегчения почвы можно добавить промытый речной песок или небольшую порцию вермикулита.
- Семена высевают в готовый грунт, засыпают землей и накрывают пленкой.
- С появлением ростков емкости с рассадой перемещают на южное или юго-восточное окно.
- Для всходов необходим регулярный полив и дополнительная подсветка. Несколько раз в неделю проводят аккуратное рыхление грунта.
- Когда на ростках образуется несколько листочков, их пересаживают в отдельные емкости с первой подкормкой азотных удобрений.
- Чтобы закалить кустики, каждый день их выносят «подышать» на свежем воздухе на полчаса, постепенно увеличивая время до суток.
Для полива используется только отстоянная теплая вода. От правильного ухода за рассадой зависит последующая урожайность томатов.
Высадку кустиков производят во второй половине мая. К этому времени грунт успевает хорошо прогреться.
На один квадратный метр делают по 3 лунки для саженцев. Так как томаты хорошо разрастаются в ширину, не надо делать близкие посадки растений, иначе вы рискуете получить бедный урожай и снизить степень устойчивости томатов к разным болезням. Углубления для саженцев обрабатываются комплексными минеральными удобрениями.
После высадки кусты сразу же подвязывают к горизонтальным или вертикальным шпалерам. Опоры не дадут стеблям сломаться по мере их роста.
Формирование куста обычно происходит в два стебля. Лишние побеги удаляют.
Помидоры «Медвежья лапа» нуждаются в нечастом, но обильном поливе. Частый полив может привести к тому, что плоды будут растрескиваться. Поливают кусты под корни теплой водой, избегая попадания на сами томаты. Из-за глубоко развитой корневой системы растение не нуждается в частом увлажнении.
Уход заключается и в своевременном удалении сорняков и регулярном рыхлении почвы.
В течение сезона кусты нуждаются в трехразовой подкормке в неделю с чередованием органики и комплексных удобрений. До появления цветков используют азотсодержащие питательные вещества, а когда образуются завязи, применяют удобрения с калием и фосфором. Достаточное количество подкормок способствует обильному и качественному урожаю.
Чтобы не появилась серая или белая гниль, после поливки томатов теплицы надо регулярно проветривать. Избежать прикорневой гнили поможет мульчирование почвы торфом или соломой.
Для избавления от вредителей используют инсектициды. Токсичные препараты применимы только до завязывания плодов. В период, когда томаты плодоносят, обработка проводится с помощью отваров из чистотела или ромашки.
Сорт «Медвежья лапа» пользуется большим спросом у опытных садоводов и огородников. На рынках почти у каждого частника в продаже можно найти крупные плоды с яркой окраской. Этот вид любят за его обильную урожайность, характерный вкус и легкость в уходе на дачных участках.
Обзорный сорт выращивают с помощью высадки рассады.
Семечки высевают в марте-начале апреля. Для хорошей всхожести необходим питательный грунт. Лучше всего для высадки семян подойдет дерновая земля или почва с огорода, смешанная с перегноем.
Контейнер с будущими саженцами накрывают пленкой и ставят в теплое место для прорастания. После появления первых всходов пленку снимают. Рассаду помещают в хорошо освещенное помещение. В пасмурную погоду для освещения томатов следует применять люминесцентные лампы.
Рассаду необходимо регулярно поливать теплой водой и рыхлить почву. Между поливами грунт должен слегка подсохнуть.
Перед помещением рассады на постоянное место произрастания производится еще одна покромка комплексными минеральными удобрениями.
Подросшую рассаду нужно обязательно закалять – на несколько часов выносить на свежий воздух. Время нахождения растений на улице постепенно доводят до целого дня. Процедура особенно важна для томатов, которые будут произрастать в открытом грунте.
Подросшую и окрепшую рассаду пересаживают во второй половине мая. Именно в это время земля достаточно прогреется. Землю на грядках тщательно рыхлят и формируют лунки. На дно каждой лунки рекомендуют положить по столовой ложке комплексных минеральных удобрений. Оптимальная схема посадки томатов «Медвежья лапа» – три растения на 1 кв. метр.
Достоинства и недостатки
- Помидорам описываемого сорта присущи такие достоинства:
- они среднеспелые;
- за ними удобно ухаживать из-за отсутствия боковых побегов и больших листьев;
- их выращивают и на грядке, и в теплице;
- растения занимают мало пространства, поэтому их можно садить густо;
- устойчивы к болезням;
- их можно сохранять долгое время;
- с плодов этого сорта можно собирать семена.
У сорта «Палка» выделяют всего один недостаток — это хрупкость стебля. Чтобы помидоры не ломались, их надо многократно подвязывать.Знаете ли вы? В различных источниках можно встретить разные названия этого сорта: Stick tomato, Curl tomato, Махровый или Кудряволистный помидор.





























































