Когда и зачем проводить искореняющую обработку сада осенью
Считается, что осеннюю искореняющую обработка сада от болезней и вредителей следует проводить уже после листопада, когда растения полностью перейдут в состояние покоя : его почки «закроются» и станут недоступны для попадания мощных и сильных растворов, которыми вы будете их опрыскивать.
Однако, есть мнение, что цель искореняющей осенней обработки, напротив, состоит в уничтожении листвы до того, как она сама полностью пожелтеет и опадет.
Дело в том, что, как раз таки нанесение на листву мощных и сильных доз растворов должно привести к уничтожению вредителей и болезней еще на растении, то есть до того как листья упадут на землю и патогены спрячутся в почве (уйдут в землю на недоступную глубину, где перезимуют и начнут свою вредоносную активность весной).
Кроме того, такая обработка сада (до листопада, с целью уничтожения листвы) позволит обеспечить гораздо более лучшую зимовку растений.
Таким образом, обработать сад еще по листу нужно за 2-3 недели до начала естественного листопада, но строго после окончания плодоношения и уборки урожая.
Иначе говоря, примерные сроки искореняющего опрыскивания сада осенью — это вторая половина сентября-октябрь месяц. На Урале и в Сибири — раньше всего, чуть позже — в Средней полосе (Подмосковье), а на Юге — в самом конце осени.
Чем обработать сад до распускания почек

Мочевина не только защищает сад, но и подпитывает азотом деревья и кустарники
Чтобы защитить ваш сад от вылупившихся личинок насекомых и проявляющих активность бактериальных и грибковых инфекций, не стоит останавливаться на достигнутых результатах, нужно делать следующий шаг.
Период от набухания почек до их распускания в средней полосе приходится на середину апреля, но лучше ориентировать не на календарь, а на состояние и внешний вид сливы, алычи, вишни или любого другого дерева. Виноград весной особенно нуждается в обработке: от вредителей и болезней гибнет до 50% урожая.
Для весеннего опрыскивания идеально подходят средства, которые действуют поверхностно, но эффективно. Спящие вредители и споры грибков находятся «под прицелом», если на них воздействовать одним из растворов:
- 3% медным купоросом;
- 3% бордоской смесью;
- мочевиной (0,6 кг на 10 л воды);
- Профилактином, который эффективен против трудноистребимых, самых вредных насекомых.
«Народный» инсектицид можно развести самостоятельно. Он готовится на основе смеси с добавлением табака и корочек апельсина.

Бордоская смесь
Способ приготовления:
- На 3-х литровую емкость высыпают 200 г измельченного табака, добавляют шелуху чеснока и лука, хвою и апельсиновые корки (все — по горстке)
- Полученную смесь заливают горячей водой (+70С) и закрывают плотной крышкой
- Оставляют в теплом помещении на неделю
- Настой процеживают и разводят в 10 л воды. Добавляют 100 г измельченного в стружку дегтярного мыла и еще раз тщательно перемешивают
- Растительной смесью опрыскивают сад. Состав можно использовать несколько раз с интервалом в 10-12 дней до начала цветения
Для обработки растений весной в саду выбирайте спокойный, пасмурный день без ветра и дождя. Желательно, чтобы осадков не было несколько дней после опрыскивания. В случае дождливой погоды процедуру придется повторить. В солнечный день для работ подходят утренние или вечерние часы.

Как правильно побелить деревья в саду: описание, сроки (осенью, весной), составы, подготовка, инструменты | (Фото & Видео)
Против каких болезней и вредителей проводится весенняя обработка сада
Далее рассмотрим против каких именно грибных заболеваний и насекомых-вредителей вы будем бороться и защищать сад весной.
Болезни
Весенняя обработка фруктового сада проводится против следующих грибковых заболеваний плодовых деревьев и ягодных кустарников:
Яблоня — парша, монилиоз (плодовая гниль или монилиальный ожог), ржавчина.
Парша на яблоках
Груша — парша, филлостиктоз (бурая пятнистость), септориоз (белая пятнистость), монилиоз (плодовая гниль или монилиальный ожог, ржавчина.
Монилиоз груши (плодовая гниль)
Вишня, черешня — коккомикоз (красновато-бурая пятнистость), клястероспориоз (дырчатая пятнистость), монилиоз (монилиальный ожог или плодовая гниль). В очень редких случаях вишневые деревья поражают парша, антракноз и ржавчина.
Коккомикоз вишни
Слива, алыча — клястероспориоз (дырчатая пятнистость), полистигмоз (красная пятнистость сливы или алычи), монилиоз (монилиальный ожог).
Полистигмоз сливы
Абрикос, персик — клястероспориоз (дырчатая пятнистость), курчавость листьев персика, монилиоз (монилиальный ожог, плодовая гниль), мучнистая роса, парша.
- Крыжовник, смородина — американская мучнистая роса (сферотека), септориоз (белая пятнистость), антракноз, ржавчина бокальчатая (оранжевая) и столбчатая (желтоватая).
- Малина — антракноз, септориоз (белая пятнистость), пурпуровая пятнистость малины (дидимелла), серая гниль (ботритис).
- Клубника (садовая земляника) — мучнистая роса, серая гниль (ботритис), белая пятнистость (септориоз), бурая пятнистость.
- Виноград — оидиум (настоящая мучнистая роса), милдью (ложная мучнистая роса), антракноз, серая гниль.
Таким образом, теми или иными пятнистостями поражаются почти все плодовые культуры, как впрочем и различными гнилями или мучнистой росой.
Вредители
Самая первая обработка семечковых (яблонь, груш) и косточковых культур (вишня, слива, алыча, абрикос, персик) проводится против следующих зимующих стадий вредителей:
- щитовки;
- червецов;
- тли;
- клещей;
- медяницы и др. сосущих и листогрызущих вредителей.
Вторая и последующие обработки яблонь и груш (семечковых культур) уже проводится против следующих вредителей:
яблонный цветоед или яблоневый долгоносик-цветоед;
- яблонный плодовый пилильщик;
- зелёная яблонная тля;
- яблонная плодожорка;
- серый почковый долгоносик;
- букарка;
- казарка;
- листовёртка и другие листогрызущие;
- почкоеды;
- медяницы;
- моли.
Что касается косточковых культур (вишня, слива, алыча), то уже вторая и последующие обработки проводится против таких вредителей, как сливовая тля, серый почковый долгоносик, казарка, вишнёвый долгоносик, сливовый чёрный пилильщик, минирующие моли, листогрызущие гусеницы, восточная плодожорка, вишневая моль, вишневый слизистый пилильщик, желтый сливовый пилильщик, сливовая плодожорка, вишневая муха, сливовая толстоножка, сливовая опыленная тля.
Вредителями ягодных культур (смородины, крыжовника, малины), против которых проводятся весенние обработки, являются:
- почковый клещ (клещевые почки на смородине);
- паутинный клещ;
- земляничный клещ (на клубнике);
- тля;
- пилильщик;
- крыжовниковая огневка;
- малинная муха;
- малинный жук;
- малино-земляничный долгоносик;
- почковая моль;
- стеклянница;
- пяденица;
- златка;
- галица (побеговая и стеблевая).
Как работать с препаратами — и когда опрыскивать сад
Механизм действия разных средств защиты растений также может различаться. Препарат может быть:
- контактным (действует непосредственно при попадании на «врага»),
- кишечным (работает, когда «зверь» его съел),
- системным (впитывается в ткани растения, делая его временно несъедобным или ядовитым для вредителей).
Системные инсектициды — практически единственный способ побороть вредителей, ведущих скрытный образ жизни (например, внутри тканей растения).
Фунгициды делятся на органические и неорганические. К последним относится медный купорос — серьезный препарат, который нельзя применять по листьям, цветкам и плодам во избежание химического ожога. Хорошо зарекомендовали себя и другие препараты, содержащие медь: для грибов это сильный яд, к тому же они работают в широком диапазоне температур. Органические фунгициды работают только при достаточно высокой температуре окружающей среды — как правило, не ниже +10ºС.
Совет: своевременно проводите санитарную обрезку — удаляйте и сжигайте все засохшие и больные ветви, чтобы они не становились рассадником инфекции.
Помните, что во время цветения практически все обработки запрещены, поскольку почти все препараты токсичны для пчел, а многие к тому же токсичны для рыб. Единственная обработка, обязательная во время цветения, — опрыскивание косточковых культур против монилиоза, поскольку споры возбудителя попадают в растение через пестик цветка.
На время цветения обработки прекращают. Исключение — опрыскивание косточковых против монилиоза
Обычно проводят две-три обработки с интервалом в 1-2 недели, чередуя препараты. В инструкции сроки обработки всегда указаны в виде фенофаз — год на год не приходится, поэтому указать точные даты обработки просто нереально.
Для облегчения работы в большинстве случаев можно приготовить баковую смесь, то есть смешать два и более препаратов и провести обработку по принципу «два в одном» или даже «несколько в одном». Так можно совмещать обработку против вредителей и болезней с внекорневой подкормкой. Баковая смесь должна быть однородной. Не допускаются расслоение и выпадение осадка. Некоторые препараты категорически нельзя смешивать, об этом есть информация в инструкции.
Баковые смеси работают очень эффективно. Однако надо знать, что с чем смешивать можно, а что — нельзя. Читайте инструкции!
Побелка стволов растений

Побелка стволов деревьев и кустарников убережёт дерево от насекомых и возбудителей заболеваний. Уже существующие отложенные яйца с помощью побелки выжигаются. Кроме того, продезинфицированные стволы легче переносят мороз.
Перед началом деятельности постелите ткань кругом деревьев. С помощью скребка освободите дерево от ветхой коры и мха. Продезинфицируйте поверхность, царапины и трещины на стволе обработайте садовым варом.
Нанесите широкой кистью побелку в пару слоев на вышину до полутора метров. В роли побелки иногда становятся акриловые или водоэмульсионные краски. Специализированные составы есть в продаже. Но немудрено изготовить смесь самому. Для этого вам потребуется известь гашеная, медный купорос, клей или глина для связки и вода.
Обработка деревьев медным купоросом
Перед началом опрыскивания предварительно необходимо очистить ствол от лишайников при помощи щетки. При обработке деревьев можно пользоваться ручным насосом, они продаются в специальных магазинах для сада и огорода. Но желательно иметь автоматизированный опрыскиватель. Он намного удобней и с ним легче работать. Для тех садоводов, у которых уже взрослые деревья, нужно иметь такой шланг садовый, который можно удлинить различными способами. Скорее всего, придется привязать его к палке, чтобы была возможность достать даже до самых верхних веточек или воспользоваться специальными телескопическими штангами.
Стоит побеспокоиться и о собственной безопасности. Халат, перчатки, головной убор и очки. Эти предметы защитят вас от попадания раствора на голые участки вашего тела. А респиратор не даст возможности парам раствора попасть в верхние дыхательные пути.

Перед тем, как начнется обработка, раствор необходимо размешать. Это делается следующим образом: 100 г медного купороса разводится в ведре воды. В холодной воде купорос растворяется хуже. Поэтому можно дома развести его в горячей воде, допустим, в трехлитровой банке, а потом содержимое вылить в ведро.
В опрыскиватель раствор нужно заливать через воронку и несколько слоев марли. Фильтровать содержимое нужно обязательно. Это делается для того, чтобы форсунка опрыскивателя и шланг не смогли забиться не растворившимися частицами. Теперь следует накачать воздух в баллон, повесить его на плечо и вперед.

В этой статье описывается процесс обработки деревьев медным купоросом. Но вы можете применять любые средства, которые вам больше нравятся или уже куплены. На каждой упаковке имеется подробная инструкция как его использовать.
Чем и когда обрабатывать сад летом
Летом происходит рост и созревание урожая, поэтому к выбору препаратов нужно подходить очень ответственно. У большинства химических фунгицидов и инсектицидов очень большой срок ожидания до сбора урожая. Поэтому химические средства используют только при острой необходимости. Например, массовое заражение паразитами или сильное заражение инфекцией. В таком случае применяются системные химические препараты, но с оглядкой на сроки сбора урожая. Препараты выбираются в зависимости от типа инфекции или вида вредителя.

В случае же небольшой активности вредителей и заболеваний, а также для профилактики оных, лучше всего использовать биологические препараты и народные средства. Они обладают не столь мощной истребляющей и защищающей способностью, как химические системные препараты. Но зато они практически безопасны для человека и домашних животных. Поэтому и сроки выжидания до сбора урожая составляет всего несколько дней.
- Из биологических препаратов для профилактики и борьбы с грибковыми инфекциями можно использовать: Алирин-Б, Бактофит, Гамаир, Споробактерин, Фитоспорин.
- Биологические инсектициды: Фитоверм, Битоксибациллин, Инсетим, Лепидоцид и другие.
Современные средства от вредителей и болезней

В продаже имеется большое количество средств, которые позволяют избавиться от тех или иных болезней или вредителей. Отдельные из них имеют комплексное действие, другие же более узкую направленность. Для защиты урожая можно воспользоваться только ними или применять их как дополнение к перечисленным средствам. Количество поступающих в продажу препаратов подобного действия постоянно увеличивается, поэтому трудно перечислить их все. Остановимся на наиболее востребованных.
Препарат №30. Главной задачей этого средства является борьба с вредителями, причем его действие весьма широкое. Уничтожение вредителей происходит не за счет ядовитых веществ, а с помощью формирования пленки, которая создает невозможные для их дальнейшего существования условия. И хотя Препарат №30 относительно безвреден, его советуют применять не чаще, чем раз в три года.
«Нитрафен». Имеет как фунгицидные, так и инсектицидные свойства. Препарат способен обжигать листья, поэтому используется только до набухания почек.
«Днок». Способен избавлять деревья от зимующих насекомых и таких болезней как парша, ржавчина, монилиоз, кластеропороз, коккомикоз и другие. Препарат нельзя применять более одного раза за сезон.
Актеллик. Этот препарат является фосфороорганическим инсектицидом, вызывает смерть насекомых-вредителей всего в течение нескольких часов после опрыскивания.
Актара. Применяется сразу после цветения, спасает деревья от тли, щитовки, белокрылки и других вредителей.
«Скор» и «Топаз». Препараты применяются до и после цветения, их действие направлено на борьбу с различными грибковыми заболеваниями.
Чем обрабатывать яблони весной от вредителей и болезней – каждый садовод решает лично. К сожалению, без применения подобного рода средств иногда никак не обойтись. Когда предстоит выбор – применять химикаты или остаться без урожая – как правило принимается решение в пользу первого варианта.
Октябрь: Влагозарядковый полив (начало – середина)
Во время листопада тщательно поливайте сад. Корневая система потребляет влагу до момента промерзания почвы. Если осень дождливая, в поливе нет необходимости, но, когда осадков мало и земля долго не промерзает, растения могут пострадать. Дозы полива зависят от возраста растения: земля на глубине 40 см (для деревьев) и 20–30 см (для кустарников) по всей проекции кроны должна быть влажной.
Ориентировочный объем воды – 40–50 литров на дерево 4–6 лет. Полив можно провести за один раз, проливая каждое растение порциями и дожидаясь, пока вода впитается в почву, но лучше растянуть его на несколько дней.
Проливайте не только приствольную зону (кстати, вода не должна течь по стволу), но и всю площадь под кроной дерева: самые активные всасывающие корешки располагаются как раз по ее периферии. Чтобы вода не растекалась, соорудите земляной валик, опоясы-вающий приствольный круг радиусом 70 см (для деревьев до 5 лет) и 1,5–2-м (старше).
Октябрь: Защита от грызунов
Позаботьтесь о защите от грызунов. Для этого обвяжите штамбы (участок ствола от земли до первой крупной ветки) лапником (иголками вниз) или крафт-бумагой, пергамином, камышовыми матами, бамбуковыми циновками, рубероидом, толем, строительными бинтами. Или даже старыми колготками
Важно вовремя снять защиту весной, иначе кора под ней может подопреть. А лучше всего использовать специальные пластиковые сетки – они свободно пропускают воздух

Конец октября – начало ноября: Искореняющее опрыскивание
Обязательно проведите осеннее опрыскивание от грибных инфекций, даже если признаков болезней нет. Это очень эффективная и экологически безопасная мера: после листо-пада можно использовать обеззараживающие растворы высокой концентрации без опа-сений, что они обожгут листья или попадут в плоды. Обработку проводят медным купоросом (3–5%-ный раствор – 300–500 г купороса на 10 л воды). Медный купорос растворяется не очень хорошо, поэтому лучше всего развести его в небольшом объеме горячей воды, а потом доводить объем раствора до необходимого. Опрыскивают перед побелкой и установкой защиты растений от грызунов.

Ноябрь, февраль-март: Побелка
Яркое весеннее солнце и особенно лучи, отраженные от снега, вызывают у молодых растений солнечные ожоги. Наибольший вред они наносят деревьям в возрасте от 5 до 10–12 лет. Для защиты от ожогов и морозобоин используют садовую побелку, которую наносят на штамб и основания скелетных ветвей дважды: в ноябре и феврале-марте. Можно использовать специальную краску для деревьев на латексной основе – она не смывается осенними дождями. Наносите побелку или краску только на сухую кору и не в дождливый период.

Работы после распускания почек
После появления почек сад лучше опрыскивать 1% бордоской жидкостью, ведь почки уже стали чувствительными, и если повысить концентрацию, их можно попросту обжечь. Подобная жидкость является замечательной защитой растения от вредителей и даёт возможность почкам полноценно открыться.
Лучше всего употреблять комбинированные вещества, такие как «Хорус», что показал высочайшие результаты в борьбе с различными видами заболеваний плодовых деревьев и кустарников. В сочетании с другими продуктами он в 2-3 раза повышает устойчивость деревьев к разным типам возбудителей заболеваний. «Децис» ведёт борьбу с разными видами вредных насекомых.
Не всегда народными препаратами можно прекратить деятельность вредителей, и тогда популярный препарат«Децис» придет на помощь садоводу. Но если у вас появляются разного рода сомнения, правильнее перед опрыскиванием посоветоваться с опытными садоводами, пусть они дадут вам совет. Будьте решительны, и результат не заставит себя ждать. Вы сможете отлично защитить растения от неблагоприятных воздействий вредоносных организмов.
Вредители плодовых деревьев и борьба с ними
Жизни и здоровью садовых культур может угрожать большое количество вредителей. Листовертки, паутинный клещ, плодожорки, муравьи, долгоносики и много других насекомых в процессе своей жизнедеятельности наносят непоправимый вред саду. Они являются настоящим бедствием для садоводов, препятствуя образованию завязи, уничтожая урожаи.
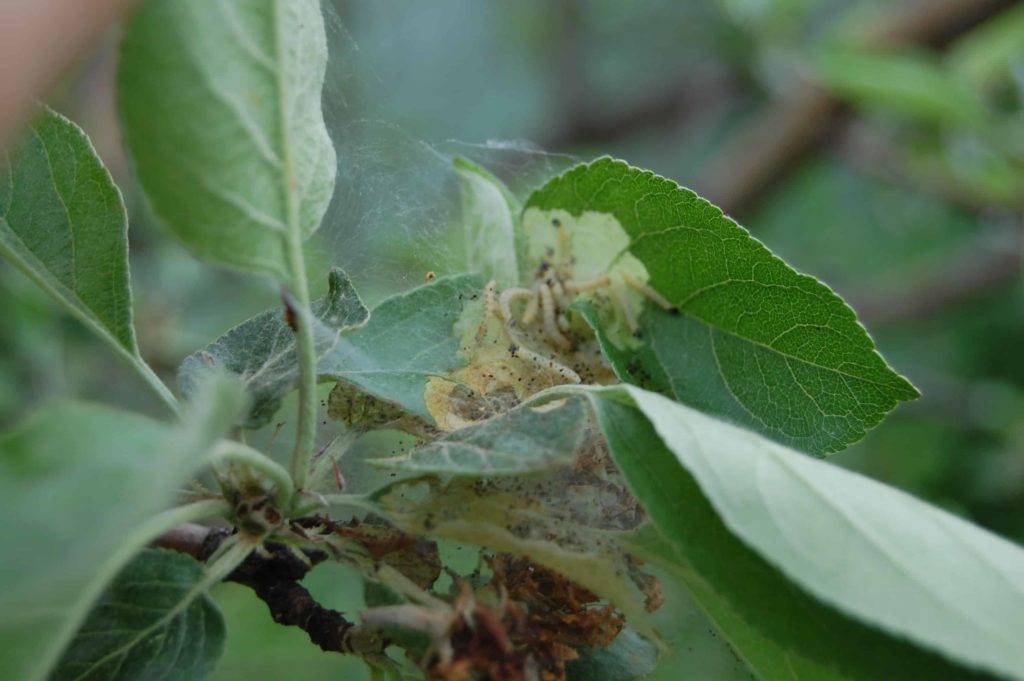
Как бороться с паутинным клещом на деревьях
Паутинный клещ на деревьях — большая проблема для садовников. Это вредоносное насекомое быстро развивается, дает до 5 поколений в год. Питается соком растений, из-за чего опадает листва, замедляется развитие культур. При обнаружении вредителя медлить нельзя.

Паутинный клещ на яблоне
Бороться с ним можно разными методами:
- химический. Применяются инсектициды (каратэ-зеон, БИ-58, борная кислота, фуфанон, фитоверм) и акарициды (аполло КС, золон КЭ, санмайт). Но пользоваться ими нужно правильно, соблюдая дозировку, разводя строго в указанном количестве воды;
- биологический. Опрыскивание проводят препаратом фитоверм КЭ. Способен уничтожить клещей при температуре 18 °С, а при повышении температуры эффективность этой жидкости повышается;
- агротехнический. Комплекс профилактических мероприятий, направленных на предотвращение распространения увеличения количества клещей. Удаляются пораженные листочки, которые потом сжигаются. Почву очищают от сорняков, проводят зяблевую вспашку;
- народный. Садоводы широко применяют от клещей опрыскивание раствором дегтярного мыла, серы, чеснока, лука, настоем хрена.
Обратите внимание! Народные средства эффективны только при небольшой численности насекомых
Как бороться с короедом на плодовых деревьях
Короед в период массового размножения способен за два месяца полностью уничтожить взрослое дерево. Борьба с вредителем является сложным длительным процессом. В период почкования пораженное растение опрыскивают препаратом гуми-30 универсал. Во время формирования соцветий листву обрабатывают препаратом «Богатый Микро», а ветви и ствол битоксибациллином. Все они разрешены Россельхознадзором, доступны для использования в домашних условиях.
Ловчий пояс для деревьев своими руками
Большинство насекомых попадает на листья, поднимаясь по стволу. Защитить сад от них можно с помощью ловчего пояса.

Ловчий пояс-воронка
Преимущество в том, что ловчий пояс для деревьев своими руками изготовить достаточно просто. Он бывает разных видов: сухой, клейкий, ядовитый. Сухие ловчие пояса изготавливают в нескольких вариациях:
- пояс-воронка — простое устройство, напоминающее воронку. Насекомые, попадая в нее, не смогут выбраться из нее. Ствол дерева обматывают картоном или бумагой. Верх пояса затягивают веревкой или замазывают глиной. В итоге должна получиться юбочка с узким отверстием вверху;
- пояс-ворот предназначен для ловли спускающихся с деревьев насекомых. На высоте 0,5 м на дереве закрепляют резиновую полоску, на которой предварительно загибают края. В полученную чашу наливают растительное масло. Насекомые, попав в такую ловушку, не смогут продолжить движение;
- клейкий ловчий пояс для деревьев. Ствол обвязывают лоскутом ткани шириной 25 см. Вместо ткани можно использовать спанбонд. Поверхность пояса смазывают смолой, дегтем или невысыхающим клеем;
- ядовитый ловчий пояс готовится следующим образом. Плотный материал или синтепон шириной 25 см пропитывают инсектицидом, закрепляют его на стволе (на высоте 0,5 м). Верхнюю часть получившейся «юбочки» закрепляют пленкой.
Как и чем опрыскивать, можно ли?
Побелка является первым этапом в борьбе с вредителями и болезнями как для всех сортов, так и конкретно судя по описанию яблони Конфетное. Вторым этапом является размещение клеевых ловчих колец. Эти приспособления должно плотно облегать яблоню. Они хорошо защищают ее от ползающих насекомых.
- При вспышке короеда стволы до появления листьев обрабатывают 25% раствором мочевины.
- Когда появляются листья, растения опрыскивают бордоской жидкостью, чтобы предотвратить появление парши и гнили.
Во время цветения обработка химическими средствами запрещена, так как это может навредить насекомым-опылителям. Как только на ветках появляются бутоны, всех имеющихся вредителей можно собирать только вручную. После окончания цветения дерево обрабатывают специальными препаратами против насекомых. А вот какие существуют зимние сорта яблонь для средней полосы, и как их опрыскивать. поможет понять данная информация.
На видео – как опрыскивать яблоню:
https://youtube.com/watch?v=AhfytUH5_Fc
- Исключением являются случаи, когда яблоня серьезно заболевает. Например, когда яблоневый цвет оказывается поражен цветоедом. Если погибли более половины бутонов, дерево опрыскивают «Децисом» или «Актарой». Урожай при этом будет значительно меньше или даже полностью отсутствовать, но это мероприятие позволит излечить дерево и вырастить яблоки на следующий год.
- При поражении клещами цветущее дерево нужно опрыскать «Антимклещем» или «Актеликом».
- Грызущие насекомые уничтожаются «Энтобактерином», «Дендробациллином». Если насекомых слишком много, потребуется использовать и сильнодействующие инсектициды, наподобие «Имидаклопорида», «Тиаметоксакма», «Хорантрианилинпрола». Однако эти средства можно применять только после цветения.
Когда обрабатывать деревья
Мочевину, медный купорос, бордоскую жидкость начинают применять после потепления до +4 градусов. Желательно провести процедуру до распускания почек. Биопрепараты (Фитоверм) лучше применять при +16…+17 градусах, причем вечером: это исключит попадание солнечных лучей и, как следствие, образование ожогов.
7% раствор мочевины используют для профилактики болезней. Бордоская смесь нужна еще и для борьбы с грибковыми и бактериальными инфекциями у растений. Средство эффективно против парши, листовых пятнистостей, гнили, коккомикоза, монилиоза).
Фото: Весной яблоне будет полезно орошение бордоской жидкостью.







